Občina se bo lotila prenove cest. Je med njimi tista, ki vam povzroča največ sivih las?

| v Lokalno

Mestna občina Murska Sobota ima v prihodnjih štirih letih na področju trajnostne mobilnosti kar nekaj načrtov.

V soboški občini je kar nekaj točk, ki jezijo udeležence v prometu. Soboška občina bo, kot kaže nekatere od njih v prihodnjih letih prenovili.

V naslednjih štirih letih bo tako prenovljenih devet odsekov. Kot je razvidno gradiva Mestne občine Murska Sobota želijo s projekti trajnostne mobilnosti povečati delež kolesarjev in pešcev, izboljšati kolesarske povezave, zmanjšati emisije, povečati telesno aktivnost prebivalcev ter občanom zmanjšati stroške vsakodnevne mobilnosti.

Lendavska ulica

Skupno 120-metrskemu odseku enosmerne kolesarske steze se obeta rekonstrukcija. Obstoječa, meter in pol široka kolesarska steza bo razširjena na dva metra, spremljal pa jo bo tudi ločen hodnik za pešce v širini 1,7 metra.  S širitvijo kolesarske steze bo tudi parkiranje spremenjeno; namesto pravokotno bo vzdolžno.  

Gregorčičeva ulica

Gregorčičeva ulica bo v prihodnjih letih deležna kar nekaj sprememb. Križišči z ulico Staneta Rozmana in Ulico arhitekta Novaka bodo preuredili v krožišči. Urejene bodo tudi površine za pešce in kolesarje. 

Grajska in Ciril Metodova ulica

Pri zdravstvenem domu bodo uredili parkirišča, kar pomeni, da poskrbljeno za večjo varnost, saj zdajšnji način parkiranja ni najbolj posrečen. Prav tako bo poskrbljeno za pešce in kolesarje. 

Na Ciril Metodovi ulici pa je načrtovana ureditev kolesarske steze.

Slomškova ulica

V križišču Slomškove in Gregorčičeve ulice bodo uredili krožišče. Prenove pa bo pravzaprav deležna celotna Slomškova ulica, kar pomeni ureditev kolesarskih poti, pešpoti in preplastitev cestišča. 

Ulica arhitekta Novaka

Ulica arhitekta Novaka bo deležna celovite prenove. Uredilo se bo cestišče, na katerem se bosta zarisala kolesarska pasova v obe smeri, prav tako bodo poskrbeli za pešce.  

Ulica Staneta Rozmana

Celotne prenove bo deležna tudi Ulica Staneta Rozmana, preplastilo se bo vozišče in uredila se bodo parkirišča. Po prenovi naj bi bila ulica bolj prijazna pešcem in kolesarjem. 

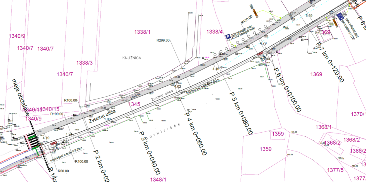
Zvezna ulica 

 

Na enosmerni ulici se bosta uredila dva kolesarska pasova, kar pomeni, da Zvezna ulica za kolesarje ne bo enosmerna. 

Kroška ulica

Kroška ulica bo deležna celovite prenove. To pomeni, da bodo poleg ureditve kolesarskih stez, uredili tudi površine za pešce, preplastili cestišče in uredili avtobusno postajališče. 

Murska Sobota – Rakičan

Rekonstrukcije bo deležna tudi kolesarska steza od Mola do krožišča pri soboški bolnišnici. 

In, kdaj lahko pričakujemo prenove?

Prenove bodo potekale po fazah, bo pa urejenih 4,3 kilometra urejenih pločnikov in kolesarskih poti, skoraj dva kilometra cestišč, ureditev treh krožišč, na novo pa naj bi bilo zasajenih tudi več kot petdeset dreves.

Skupna vrednost projektov je nekaj manj kot 4,7 milijona evrov. Od tega bo dobrih 2,5 evrov sofinanciranih s strani Evropske unije, občina pa bo primaknila dobrih 2,1 milijon evrov.

 

 

Vendar pa to ni vse, v mestu in okolici je še kar nekaj točk prepotrebnih obnove. Med njimi zagovoto Noršinska, Tišinska in Ulica Štefana Kovača, pa odseki Merkur - Živex, Bakovci - Dokležovje ...

Preberite še

Komentarji

jajaja

pa celo je.... wow.... :)

ahentz...

a še kje kakšen nov rondo, da ne hodimo brezveze v gardaland

gg

Vzdolžno parkiranje na Lendavski, pa vi nimate vseh koles v glavi, že tak je tam premalo parkirišči, bočno parkiranje je za lidij itak znanost, vi te pa nekše kolesarske ceste širili, kot da tam ni dovolj široko.

MilfHunter9

Ka si od doktora prometnih znanosti kaj več pričakuval?

Ustanavljati smo začeli civilno iniciativo, ki se bo trgala za ustavitev nespametnega dela občinarjev tipa Doktor, zavzemala se bo tudi za ustavitev nepotrebnega zapravljanja denarja za kader, ki je na občini sam sebi namen, ter za boljšo prometno ureditev v MOMS.

lojze2323

oprostite vi ste *žaljiva vsebina je bila odstranjena*

slvkos

bil bi že čas da tisto bedarijo pri LIDLU na Lendavski odstranite z ceste kajti to tam dela samo gužvo, marsigdo bi zavil desno k OMV LIDLU AMZS KARGLAS in še, pa mora se prerivat v eno vrsto, prav takšna neumnost je pri katoliški cerkvi

Ne laži

Tisto pri Lidli je čista vrejdi, tou pa je zavolo somarof, keri so se po ton pasi do konca pelali pa se te sijlili v vrsto.

markow83

Somarof ja. Po CPP se vključuje na konce pasa. Tak ka se moreš pelate do konca. Na konce pa vela zadrga, tak ka siljenje tude neje prave izraz, razen če te ove ne pistijo. Zakon je zakon.

Ne laži

Pri Lidli si se po staron mogo prlej vključiti na levi pas po sistemi zadrge. Samo tou je nišče nej upoštevo ka je na polovici bijla puna črta pa se je dogajalo tou ka san prlej napijso.

tihi

Do Noršincev pa bo kamenje za en čas....super

afta he

Dokler se na cesti še ne vidi navoz gramoza iz časa Jugoslavije ceste še ne bodo popravljali.

gost1

Če de parkrat sneg v toj zimi, ka do mogli plüžiti, hitro pridemo do gramoza. :D

Rikardo

Saj od merkura pa do markošavskih semaforov de tude pomali makedam

SANJA SVINJA KUKURUZ

Vse v stilu "sanja svinja kukuruz" tako norih butalski rešitev prometa kot je to v Soboti redko kje vidiš, vse to je pa posledica previsoko šolanega človeka na občini, ki bi naj imel celo dr. Vsi ti z dr. pa so tako prepametni, manjka pa jim enostavne kmečke pameti.

butalec

Ja, dr.--- ampak nej s cest......... z ladijski kontejnerov, ha-ha!!
Tej se pa dosta po naši cestaj vozi.

xxxxx

Pogrešam preplastitev odseka Lendavske ulice od križišča z Gregorčičevo do malega rondoja. Ta odsek je v izredno klavrnem stanju.

Mnja

Ka pa Tomšičova? To je bilo tou, Jevšek si je gori potegno novi asfalt, zrikto pločnike pa posvejte, dale de pa geto ali ka?

helmut

Krog - Murski Črnci ???? Cesta že skoraj v slabšem stanji kak makedam

AHAM

Prlej kak tou napravite trbej še zriktati parkirne hiše za zdravstveni dom, lendavske bloke, pa davčne uslužbence ka nedo nonstop cerkveni parkplac okupejrali...

kaputar

Koga boli đoko za cerkvene park place. Pravi verniki morete od doumi do cerkve po kolenaj iti ka se za svoje greje odküjpite, nej pa ka ka odite v cerkev avtoje kazat pa drage obleke.

Komentarji

jajaja

pa celo je.... wow.... :)

ahentz...

a še kje kakšen nov rondo, da ne hodimo brezveze v gardaland

gg

Vzdolžno parkiranje na Lendavski, pa vi nimate vseh koles v glavi, že tak je tam premalo parkirišči, bočno parkiranje je za lidij itak znanost, vi te pa nekše kolesarske ceste širili, kot da tam ni dovolj široko.

MilfHunter9

Ka si od doktora prometnih znanosti kaj več pričakuval?

Ustanavljati smo začeli civilno iniciativo, ki se bo trgala za ustavitev nespametnega dela občinarjev tipa Doktor, zavzemala se bo tudi za ustavitev nepotrebnega zapravljanja denarja za kader, ki je na občini sam sebi namen, ter za boljšo prometno ureditev v MOMS.

lojze2323

oprostite vi ste *žaljiva vsebina je bila odstranjena*

slvkos

bil bi že čas da tisto bedarijo pri LIDLU na Lendavski odstranite z ceste kajti to tam dela samo gužvo, marsigdo bi zavil desno k OMV LIDLU AMZS KARGLAS in še, pa mora se prerivat v eno vrsto, prav takšna neumnost je pri katoliški cerkvi

Ne laži

Tisto pri Lidli je čista vrejdi, tou pa je zavolo somarof, keri so se po ton pasi do konca pelali pa se te sijlili v vrsto.

markow83

Somarof ja. Po CPP se vključuje na konce pasa. Tak ka se moreš pelate do konca. Na konce pa vela zadrga, tak ka siljenje tude neje prave izraz, razen če te ove ne pistijo. Zakon je zakon.

Ne laži

Pri Lidli si se po staron mogo prlej vključiti na levi pas po sistemi zadrge. Samo tou je nišče nej upoštevo ka je na polovici bijla puna črta pa se je dogajalo tou ka san prlej napijso.

tihi

Do Noršincev pa bo kamenje za en čas....super

afta he

Dokler se na cesti še ne vidi navoz gramoza iz časa Jugoslavije ceste še ne bodo popravljali.

gost1

Če de parkrat sneg v toj zimi, ka do mogli plüžiti, hitro pridemo do gramoza. :D

Rikardo

Saj od merkura pa do markošavskih semaforov de tude pomali makedam

SANJA SVINJA KUKURUZ

Vse v stilu "sanja svinja kukuruz" tako norih butalski rešitev prometa kot je to v Soboti redko kje vidiš, vse to je pa posledica previsoko šolanega človeka na občini, ki bi naj imel celo dr. Vsi ti z dr. pa so tako prepametni, manjka pa jim enostavne kmečke pameti.

butalec

Ja, dr.--- ampak nej s cest......... z ladijski kontejnerov, ha-ha!!
Tej se pa dosta po naši cestaj vozi.

xxxxx

Pogrešam preplastitev odseka Lendavske ulice od križišča z Gregorčičevo do malega rondoja. Ta odsek je v izredno klavrnem stanju.

Mnja

Ka pa Tomšičova? To je bilo tou, Jevšek si je gori potegno novi asfalt, zrikto pločnike pa posvejte, dale de pa geto ali ka?

helmut

Krog - Murski Črnci ???? Cesta že skoraj v slabšem stanji kak makedam

AHAM

Prlej kak tou napravite trbej še zriktati parkirne hiše za zdravstveni dom, lendavske bloke, pa davčne uslužbence ka nedo nonstop cerkveni parkplac okupejrali...

kaputar

Koga boli đoko za cerkvene park place. Pravi verniki morete od doumi do cerkve po kolenaj iti ka se za svoje greje odküjpite, nej pa ka ka odite v cerkev avtoje kazat pa drage obleke.

Lokalno

Vse v Lokalno

Šport

Vse v Šport

Kronika

Vse v Kronika

Politika

Gospodarstvo

Slovenija

Scena

Svet

Vse v Svet

Kultura

Vse v Kultura

Forum

Vse teme

Malice

Vsi ponudniki

Mali oglasi

Vsi oglasi