Nakupovalnemu središču Maximus se obeta širitev, je v igri kakšen najemnik?

| v Gospodarstvo

Nakupovalnemu središču Maximus se obeta širitev, s katero naj bi pridobil dodatnih več kot 5.500 kvadratnih metrov notranjih površin. Soboška občina pred pripravo sprememb in dopolnitev zazidalnega načrta začenja postopek posvetovanja z javnostjo.

Trgovski center Maximus je svoja vrata odprl leta 2006 in Prekmurcem med drugim prinesel številna prosta delovna mesta. Za njegovo izgradnjo sta poskrbela investitorja Dobel in SGP Pomgrad, sredstva pa je prispeval tudi Spar Slovenija, ki je s tem odprl svojo 60. trgovino. 

Celotna naložba je takrat bila vredna več kot 2,5 milijardi tolarjev, dodatnih 80 milijonov pa je bilo vloženih še v izgradnjo bližnjega krožišča. Že dve leti pozneje je kompleks svojo ponudbo razširil s 13.000 kvadratnimi metri zabaviščnega centra, gostinske ponudbe ter modnih trgovin srednjega in višjega cenovnega razreda.

Zdaj pa je objekt na Ulici Štefana Kovača 43, kot kaže, pred novo širitvijo. Mestna občina Murska Sobota je namreč minuli četrtek objavila javno naznanilo, s katerim zainteresirano javnost vabi k sodelovanju pri oblikovanju izhodišč za pripravo sprememb in dopolnitev Zazidalnega načrta za trgovsko cono Murska Sobota – zahod (prizidava Maximus).

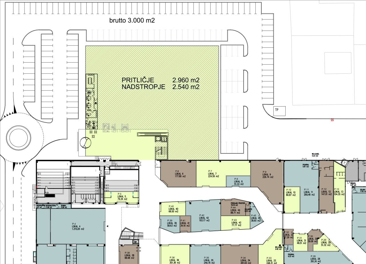
Iz dokumentacije, objavljene na občinski spletni strani, je razvidno, da je na zahodni strani nakupovalnega kompleksa, na območju, ki ga trenutno zavzemajo vozišče in parkirna mesta, predviden dvonadstropni prizidek s pritličjem v izmeri 2.969 kvadratnih metrov in nadstropjem v izmeri 2.540 kvadratnih metrov. 

Predloge in pripombe za oblikovanje izhodišč pred sprejetjem končne odločitve do vključno 13. septembra letos sprejemajo na naslov Mestna občina Murska Sobota, Kardoševa ulica 2, 9000 Murska Sobota ali na elektronski naslov [email protected].

Priprave na dolgotrajnejše postopke

Poklicali smo predsednika uprave podjetja Pomgrad Iztoka Polaniča, da bi preverili ali je glede na predvideno širitev v igri že tudi kakšen konkreten najemnik. Polanič je za Sobotainfo potrdil, da je predvidena širitev nakupovalnega središča Maximus, a več nam o tem ni mogel povedati. Kot pojasnjuje, želijo preprosto biti pripravljeni, če bi se v prihodnje pojavila kakšna zanimiva priložnost:

»Gre samo za spremembo prostorske zakonodaje, prostorskega načrta in pripravljamo se, da bomo, če se bo kdaj v prihodnosti pojavil kakšen večji najemnik, lahko ponudili ustrezen prostor. Trenutno pa nimamo nič v rokavu oziroma nimamo podpisane pogodbe,« pojasnjuje Polanič.

Ob tem zagotavlja, da trenutno tudi ne potekajo pogovori z nobenim potencialnim najemnikom. 

»Pripravljamo vse ustrezne papirje, ker po novem bodo prostorski načrti bistveno dlje trajali. In če se kdo pojavi, moraš vsaj imeti v rokavu nekaj, kar mu lahko ponudiš. Lahko se kaj zgodi naslednji teden, lahko pa se zgodi šele čez nekaj let.« 

Novosti že v prihodnjih mesecih

Sicer pa spomnimo, da bo soboški nakupovalni center že kmalu bogatejši tudi za novo prodajalno trendovskih oblačil, saj bo svoja vrata odprla ena najhitreje rastočih modnih blagovnih znamk z ženskimi oblačili, ki ima v Evropi že več kot 600 trgovin – Orsay. Po naših informacijah so pogovori sicer potekali z več trgovskimi centri, preden je padla dokončna odločitev za jesensko odprtje trgovine v Maximusu.

Naslovna fotografija: Jure Banfi

Komentarji

Carni vrag

Čakamo da ona prababica zacne zidati.

AHAM

Mc Donalds? :)

informiran

Baje da bo ikea not

gospod Dent

Ikea z McDonaldsom

rtv

spusti se na realna tla. Ikea nimajo v Lj, oz. mogoče ne da bi bila v MS.

lastnik MS

Mcdonaldc z Ikea pohištvom

princeska Ana

Primark 100%

kuki mandu

Zakoj lažeš?

princeska Ana

Misliš da ne bo?

kuča na Umagu

si ti tista ki hodi po soboti U RIKVERC?

Hdbdbehdhs

Itak da ne..

Blabelblu

Ka kole bau samo naj neje pa neksna cota bauta.. Ka se vec baut s cotame ne prebaven.. Ze zdaj san na raube samomora kda me naša seuf vličej

kuča na Umagu

ja bi ti rekao.... copata

btw

Trgovine na kubik. Da bo lenoben narod še bolj len in bo še bolj posadal po kvazi centrih in zapravil tisti težko prigrani denar za lastni videz. Korporacije so vse naštudirale.

kuča na Umagu

treba da se denar vrti

STOP TRG. CENTRI

Samo se odpirajo, predvsem v soboti trgovski centri, zdaj ne vem ali smo Prekmurci tako bogati ali pa so trgovci do konca zblazneli. Kdaj bomo dočakali ka de se v Soboti odpirala kaka tovarna, bokibogme ne pomnim, da bi se kaj omembe vrednega odprlo zadnjih 20 let. Nasprotno še to kar je bilo je vrag vzel, pa še vedno nismo prišli k pameti, da bi natirali to politično drhal.

Hshsbsbs

Neven s kejc van non stop tej ideje ka prekmurce nemamo pejnez. Prekmurce smo narod ka mamo na banke 0.0. Kak placa prijde se jo doj buje. Babe majo vse po tri omare cot. V ljubljane nemajo ka v bloke nega placa. Doma pa na sakon hodnike omara puna gvanta.

Vejpa maximus je sake den pun pa sake den pune vozicke se v vozijo. Prekmurce se samo radi starajo to je vse. Nisce nema pejnez sake pa pri kuce 3 autoje po 20 jurjof na kredit pa sake mesec neka v kuce delate ka nede sausid pravo ka mamo kaj staroga.

gost8

Dobro, te mi pa najdi eden mladi prekmurski par, šteri si lejko privoušči nouvo stanovanje. Jasno, za kakšo srakico ali đanko se še najde, stanovanje pa lejko mladi samo senjajo. Mladi Žalostno.

Gost22

Naj odprejo kakšno trgovino z pohištvom ali trgovino z hišnimi dodatki, malimi gospodinjskimi aparati ... trgovin z oblačili je zadosti ... če že trgovino z otroškimi stvarmi ... kot so vozički, posteljice,...

gost8

Murska Sobota je slovenski, pa evropski rekorder po kvadratnih metraj bout na prebivalca. Zadnje, ka Sobota nüca, je ešče eden trgovski center. Trgovski centri s tujimi boutami so samo sredstvo s pomočjouf šteroga se pejnez cuzajo vö s Prekmurja. Na tej način de že itak obubožano Prekmurje še bole srmaško. Samo pri neoliberalnon župani, šteri je član neoliberalne stranke SD kaj drüjgoga niti nemreš čakati.

kasparov

Predlagan, ka napravijo velko bouto v šteroj do prekmurcon odavali pamet. Zatou, ka narod šteri sakši evro znosi v bpoute, namesto, ka bi si mladi napravili stanovanja, stari pa poskrbeli za varno starost, najbole nüca pamet.

..

Ka tij si tüdi Prekmurec???

jožek j

Baute in trgovske centre ja tovarne pa ka bi zaposlili ljudi pa nišče ne dela .

Profile picture for user buldog buldog

Me pa zanima, kje bodo potem parkirišča? Parkirišč bo manj, potrebe pa bodo večje. Upam, da so predvidene podzemne garaže. Ker drugi varianti sta: ne bo jih, kar se mi zdi malo verjetno ali širjenje in selitev parkirišč kam drugam. Upam, da se lastnikom kapitala ne cedijo sline po kmetijski zemlji čez cesto! In upam, da Polaničeve besede: »Pripravljamo vse ustrezne papirje, ker po novem bodo prostorski načrti bistveno dlje trajali" ne pomenijo točno to! Torej: povejte, kje bodo parkirni prostori!

Drugače pa me širjenje "nakupovalnih svetišč" ne moti. Naj se širijo (a ne na račun kmetijske zemlje!) kakor se hočejo. Kupna moč prebivalstva je itak končna in ti fičniki, ki jih zaslužimo se bodo porazdelili po trgovinah, v tem primeru po večih trgovinah. Lahko mi naredijo tisoč trgovin, to ni pomembno, nasproti njim stoji moja plačica. Meni se zdi smešno, ko kapital noče dati delavcu niti ficka višje bedne crkavice, češ, da potem nimajo dobička.... pa ja, dajte delavcem 300 evrov plače; potem pa lahko plačujete milijarde za reklame za vaše proizvode. In kupcev ne bo. Zakaj že ne? Vam ne potegne zakaj ne, kajne?

Se mi ša zdi boleča neka druga dimenzija "nakupovalnih svetišč": lastništvo. Vzodnjaki smo dobili nemške, avstrijske, francoske, švedske, nizozemske in druge trgovske verige. In pridno zapravljamo svoje plačice v njih. Upam, da se bo kmalu začelo odpirati več trgovinic, pekarnic, slaščičarn, lokalnih ponudnikov svežega sadja in zelenjave in podobno, kjer bomo lahko kupovali kvalitetne izdelke lokalnega okolja in s tem omogočili razvoj lokalne ekonomije. Ker natančno vem: če kupim izdelek v neki Smrečici ali švedsko obarvani trgovini ali se najem v dveh ukrivljenih krompirjih je odšel zaslužek na Germansko. Če pa bo moj denar dobil sosed pekarnar, bo on zaslužek zapravil pri urarju, ta spet pri mehaniku, ta bo šel jest v bližnjemu gostilničarju, itd.... in vsa lokalna skupnost bo živela. Toda do teh spoznaj smo še svetlobna leta daleč. Do takrat smo pač prisiljeni kupovati v teh in "pristno slovenskih" sosedih in trgovcih.

O drugih dimenzijah nakupovalnih svetišč sploh ne bi.

debela žemljica

zakoj tak na dugo pišeš meni so tau čitati ne da

žnj

Super, še malo do širili, pa do ga lejko povejzali s hoferon na kroški, s šoping centron mame sukič na tomšičovi pa tušon na bakovski, ka nede tou tak razmetano po celoj soboti.

Ho

Več aska bi bilou, če be vrable povali, kak pa bouto

Komentarji

Carni vrag

Čakamo da ona prababica zacne zidati.

AHAM

Mc Donalds? :)

informiran

Baje da bo ikea not

gospod Dent

Ikea z McDonaldsom

rtv

spusti se na realna tla. Ikea nimajo v Lj, oz. mogoče ne da bi bila v MS.

lastnik MS

Mcdonaldc z Ikea pohištvom

princeska Ana

Primark 100%

kuki mandu

Zakoj lažeš?

princeska Ana

Misliš da ne bo?

kuča na Umagu

si ti tista ki hodi po soboti U RIKVERC?

Hdbdbehdhs

Itak da ne..

Blabelblu

Ka kole bau samo naj neje pa neksna cota bauta.. Ka se vec baut s cotame ne prebaven.. Ze zdaj san na raube samomora kda me naša seuf vličej

kuča na Umagu

ja bi ti rekao.... copata

btw

Trgovine na kubik. Da bo lenoben narod še bolj len in bo še bolj posadal po kvazi centrih in zapravil tisti težko prigrani denar za lastni videz. Korporacije so vse naštudirale.

kuča na Umagu

treba da se denar vrti

STOP TRG. CENTRI

Samo se odpirajo, predvsem v soboti trgovski centri, zdaj ne vem ali smo Prekmurci tako bogati ali pa so trgovci do konca zblazneli. Kdaj bomo dočakali ka de se v Soboti odpirala kaka tovarna, bokibogme ne pomnim, da bi se kaj omembe vrednega odprlo zadnjih 20 let. Nasprotno še to kar je bilo je vrag vzel, pa še vedno nismo prišli k pameti, da bi natirali to politično drhal.

Hshsbsbs

Neven s kejc van non stop tej ideje ka prekmurce nemamo pejnez. Prekmurce smo narod ka mamo na banke 0.0. Kak placa prijde se jo doj buje. Babe majo vse po tri omare cot. V ljubljane nemajo ka v bloke nega placa. Doma pa na sakon hodnike omara puna gvanta.

Vejpa maximus je sake den pun pa sake den pune vozicke se v vozijo. Prekmurce se samo radi starajo to je vse. Nisce nema pejnez sake pa pri kuce 3 autoje po 20 jurjof na kredit pa sake mesec neka v kuce delate ka nede sausid pravo ka mamo kaj staroga.

gost8

Dobro, te mi pa najdi eden mladi prekmurski par, šteri si lejko privoušči nouvo stanovanje. Jasno, za kakšo srakico ali đanko se še najde, stanovanje pa lejko mladi samo senjajo. Mladi Žalostno.

Gost22

Naj odprejo kakšno trgovino z pohištvom ali trgovino z hišnimi dodatki, malimi gospodinjskimi aparati ... trgovin z oblačili je zadosti ... če že trgovino z otroškimi stvarmi ... kot so vozički, posteljice,...

gost8

Murska Sobota je slovenski, pa evropski rekorder po kvadratnih metraj bout na prebivalca. Zadnje, ka Sobota nüca, je ešče eden trgovski center. Trgovski centri s tujimi boutami so samo sredstvo s pomočjouf šteroga se pejnez cuzajo vö s Prekmurja. Na tej način de že itak obubožano Prekmurje še bole srmaško. Samo pri neoliberalnon župani, šteri je član neoliberalne stranke SD kaj drüjgoga niti nemreš čakati.

kasparov

Predlagan, ka napravijo velko bouto v šteroj do prekmurcon odavali pamet. Zatou, ka narod šteri sakši evro znosi v bpoute, namesto, ka bi si mladi napravili stanovanja, stari pa poskrbeli za varno starost, najbole nüca pamet.

..

Ka tij si tüdi Prekmurec???

jožek j

Baute in trgovske centre ja tovarne pa ka bi zaposlili ljudi pa nišče ne dela .

Profile picture for user buldog buldog

Me pa zanima, kje bodo potem parkirišča? Parkirišč bo manj, potrebe pa bodo večje. Upam, da so predvidene podzemne garaže. Ker drugi varianti sta: ne bo jih, kar se mi zdi malo verjetno ali širjenje in selitev parkirišč kam drugam. Upam, da se lastnikom kapitala ne cedijo sline po kmetijski zemlji čez cesto! In upam, da Polaničeve besede: »Pripravljamo vse ustrezne papirje, ker po novem bodo prostorski načrti bistveno dlje trajali" ne pomenijo točno to! Torej: povejte, kje bodo parkirni prostori!

Drugače pa me širjenje "nakupovalnih svetišč" ne moti. Naj se širijo (a ne na račun kmetijske zemlje!) kakor se hočejo. Kupna moč prebivalstva je itak končna in ti fičniki, ki jih zaslužimo se bodo porazdelili po trgovinah, v tem primeru po večih trgovinah. Lahko mi naredijo tisoč trgovin, to ni pomembno, nasproti njim stoji moja plačica. Meni se zdi smešno, ko kapital noče dati delavcu niti ficka višje bedne crkavice, češ, da potem nimajo dobička.... pa ja, dajte delavcem 300 evrov plače; potem pa lahko plačujete milijarde za reklame za vaše proizvode. In kupcev ne bo. Zakaj že ne? Vam ne potegne zakaj ne, kajne?

Se mi ša zdi boleča neka druga dimenzija "nakupovalnih svetišč": lastništvo. Vzodnjaki smo dobili nemške, avstrijske, francoske, švedske, nizozemske in druge trgovske verige. In pridno zapravljamo svoje plačice v njih. Upam, da se bo kmalu začelo odpirati več trgovinic, pekarnic, slaščičarn, lokalnih ponudnikov svežega sadja in zelenjave in podobno, kjer bomo lahko kupovali kvalitetne izdelke lokalnega okolja in s tem omogočili razvoj lokalne ekonomije. Ker natančno vem: če kupim izdelek v neki Smrečici ali švedsko obarvani trgovini ali se najem v dveh ukrivljenih krompirjih je odšel zaslužek na Germansko. Če pa bo moj denar dobil sosed pekarnar, bo on zaslužek zapravil pri urarju, ta spet pri mehaniku, ta bo šel jest v bližnjemu gostilničarju, itd.... in vsa lokalna skupnost bo živela. Toda do teh spoznaj smo še svetlobna leta daleč. Do takrat smo pač prisiljeni kupovati v teh in "pristno slovenskih" sosedih in trgovcih.

O drugih dimenzijah nakupovalnih svetišč sploh ne bi.

debela žemljica

zakoj tak na dugo pišeš meni so tau čitati ne da

žnj

Super, še malo do širili, pa do ga lejko povejzali s hoferon na kroški, s šoping centron mame sukič na tomšičovi pa tušon na bakovski, ka nede tou tak razmetano po celoj soboti.

Ho

Več aska bi bilou, če be vrable povali, kak pa bouto

Lokalno

Vse v Lokalno

Šport

Vse v Šport

Kronika

Vse v Kronika

Politika

Gospodarstvo

Slovenija

Scena

Svet

Vse v Svet

Kultura

Vse v Kultura

Forum

Vse teme

Malice

Vsi ponudniki

Mali oglasi

Vsi oglasi